CREEMOS QUE IMPORTA POR...
Porque 'Irma' podría causar enormes daños a varias naciones americanas
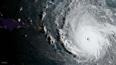
Irma, el huracán más potente del Atlántico del que se tiene registro, tocó tierra este miércoles en las islas ubicadas al noreste del Caribe con vientos de 295 kilómetros por hora.
Además, otros dos huracanes ya se formaron en la cuenca del Océano Atlántico, y uno de ellos, Katia, se dirige hacia las costas mexicanas. Mientras, el tercero de ellos, José, aún no significa peligro para algún territorio.
IRMA
El huracán Irma avanza hacia Puerto Rico, República Dominicana, Haití y Cuba, los especialistas sugieren que se dirigirá a Florida este fin de semana.
Las autoridades de Antigua y Barbuda pidieron a la población resguardarse del “violento ataque” e informaron que se reportaron algunas inundaciones y árboles caídos.
El presidente de Estados Unidos, Donald Trump, declaró estado de emergencia en Florida, Puerto Rico y las Islas Vírgenes estadounidenses.
Aquí te dejamos las imágenes de este histórico huracán en el Atlántico, que se mantendrá como categoría 4 o 5 durante los próximos dos días, de acuerdo con las autoridades estadounidenses:
KATIA
La Conagua informó que Katia evolucionó de tormenta tropical a huracán categoría 1 y se localiza al occidente del Golfo de México, con dirección a las costas mexicanas.
La comisión alertó de tormentas torrenciales en los estados de Veracruz y Puebla y Tlaxcala.
Aviso de #CiclónTropical #Katia #huracán cat. 1 del Océano Atlántico 16:15 h en: https://t.co/sIp87xPI6d pic.twitter.com/tQYFTC2jeD
— CONAGUA Clima (@conagua_clima) 6 de septiembre de 2017
También activó una zona de vigilancia para Veracruz, desde Tuxpan y hasta Laguna Verde.
El huracán registra vientos máximos sostenidos de 120 kilómetros por hora y se prevé que toque tierra este jueves.
JOSÉ
La tormenta tropical José se tornó ya en huracán categoría 1, informó la Conagua. Este se ubica a 1 mil 675 kilómetros al este de las Antillas Menores, pero "muy lejos de México", a 4 mil 420 kilómetros al este de las costas de Quintana Roo.
La autoridad precisó que hasta el momento este huracán no representa afectaciones para nuestro país.
Mientras, el Centro Nacional de Huracanes informó que José se puede transformar en categoría 3 para el próximo viernes.
Aviso de #CiclónTropical #Jose #huracán cat. 1 del Océano Atlántico 16:15 h en: https://t.co/sIp87xPI6d pic.twitter.com/GexYCJLe8o
— CONAGUA Clima (@conagua_clima) 6 de septiembre de 2017
